Tras una evaluación exhaustiva, World Rugby junto con el Comité organizador de Japan Rugby 2019 publicó una actualización acerca de los posibles efectos que el tifón Hagibis puede provocar en la programación de los partidos de la Rugby World Cup 2019 del fin de semana. En ella, se incluye la decisión de cancelar ciertos partidos por cuestiones de seguridad.
Cancelaron dos partidos del Mundial de rugby por el tifón Hagibis en Japón

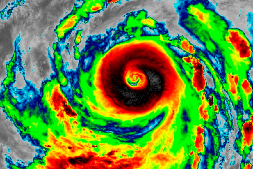
Según la información detallada más reciente, provista por el servicio de meteorología independiente del torneo, se prevé que Hagibis será el tifón de mayor tamaño de la temporada 2019, y es probable que ocasione trastornos urbanos considerables en las zonas de Tokio, Yokohama y Toyota durante el sábado, en el que se incluye una posible interrupción o cancelación temporal del transporte público.

Como consecuencia de ellos, World Rugby y el Comité organizador de Japan Rugby 2019 tomó la difícil decisión de cancelar los partidos programados para las zonas afectas por motivos de seguridad. Los equipos correspondientes ya fueron informados y se mostraron plenamente conscientes y cooperativos. En relación a los partidos que no se celebrarán y de acuerdo a lo establecido en la normativa, cada equipo implicado obtendrá dos puntos.
La situación es excepcional, compleja y evoluciona con gran rapidez. La seguridad del público es de máxima prioridad y fue la primera consideración durante la toma de decisiones, junto a la información proporcionada por los meteorólogos del torneo, las ciudades implicadas, las sedes y los equipos.
En base a la información meteorológica más reciente, se hacen públicos los siguientes cambios:
Viernes, 11 de octubre
El partido por el Grupo D entre Australia y Georgia, en Shizuoka, a las 19:15 (hora local), seguirá adelante según lo previsto
Sábado, 12 de octubre
El partido por el Grupo A entre Irlanda y Samoa, en Fukuoka, a las 19:45 (hora local), seguirá adelante según lo previsto
El partido por el Grupo B entre Nueva Zelanda e Italia queda cancelado
El partido por el Grupo C entre Inglaterra y Francia queda cancelado












