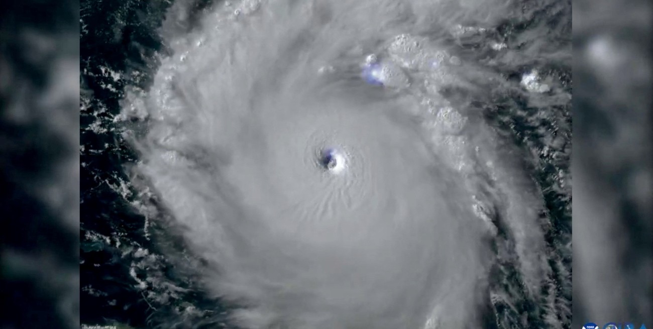
El huracán Beryl alcanzó este martes en horas de la madrugada el nivel 5 y se mantienen los alertas en el Caribe y Centroamérica.
Se mantiene el alerta. A México llegaría sólo como tormenta tropical.

El huracán Beryl alcanzó este martes en horas de la madrugada el nivel 5 y se mantienen los alertas en el Caribe y Centroamérica.
Estableció un récord al ser el fenómeno meteorológico en alcanzar dicha categoría más rápido, incluso respecto a Emily de 2005.
La categoría 5 es el nivel más alto en la escala de vientos de huracanes Saffir-Simpson. Esta categoría se asigna a huracanes con velocidades de viento sostenidas de 252 km/h o más.
Tras pasar por la isla de Barlovento de San Vicente y las Granadinas, se registró la muerte de al menos una persona. Además, cientos de viviendas y edificios dañados, según anunció el lunes por la noche el primer ministro Ralph Gonsalves, quien señaló que podría haber más víctimas mortales.
Por su parte, el primer ministro de Granada, Dickon Mitchell, declaró que había "informes generalizados de destrucción y devastación en Carriacou y Petite Martinique". "En media hora, Carriacou quedó arrasada".
Beryl tocó tierra poco después de la medianoche en la isla Carriacou de Grenada en el mar Caribe con vientos máximos de 241 km/h.
En México, la gobernadora de Quintana Roo, Mara Lezama, informó a la población que ya fue emitida la alerta verde ante el acercamiento del huracán Beryl. Lo cual significa un peligro bajo.
Se estima que con el avance de la semana, el huracán degrade su categoría y el jueves impacte Quintana Roo con categoría 1. Avanzaría por el Golfo de México sólo como tormenta tropical.




